Rhode Island Lighthouses
Lime Rock Light
Back
Table of Contents
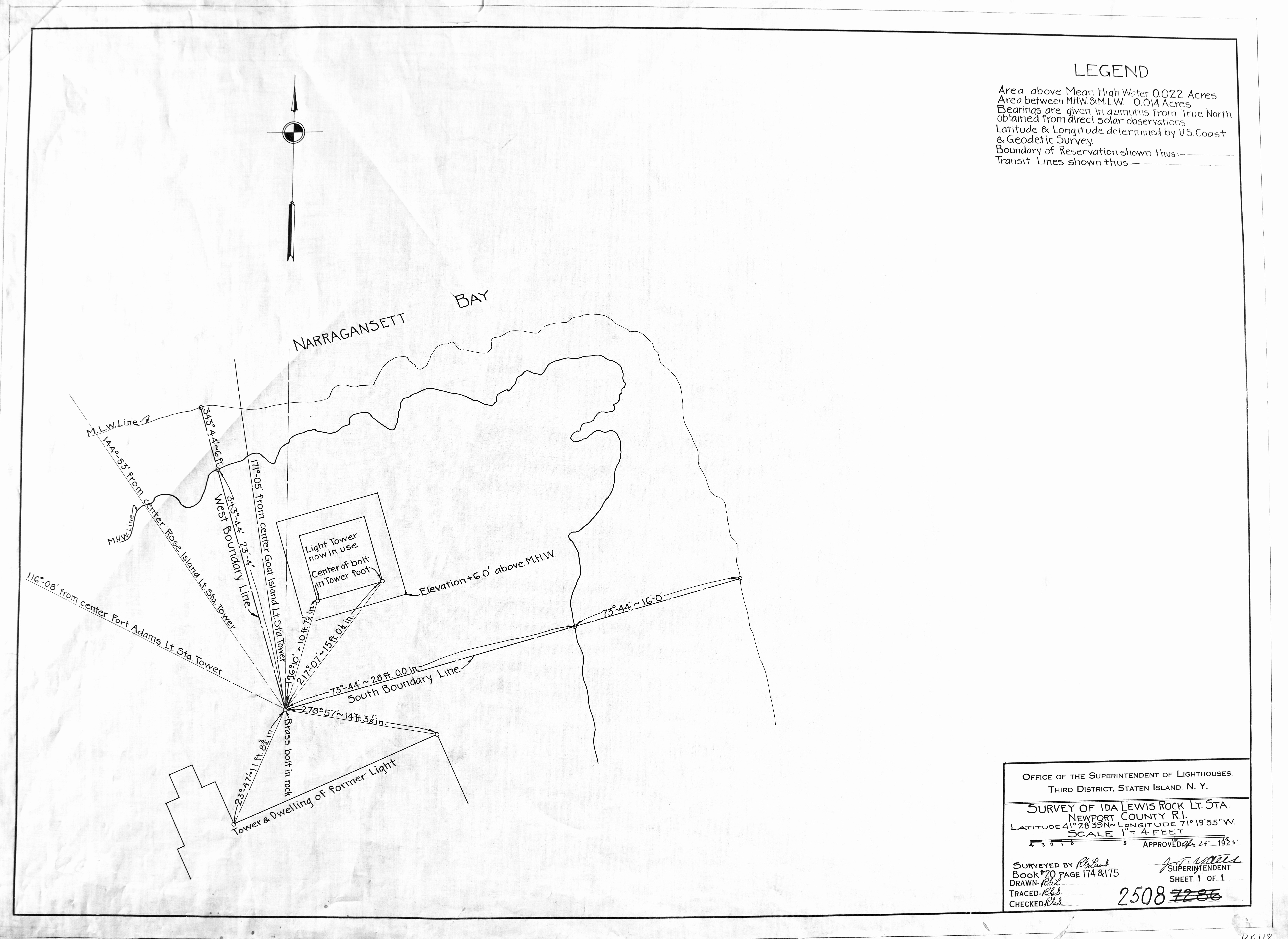
Survey of Ida Lewis Rock Light Station - 1925
Courtesy of the National Archives
Download full size version of this image
Back
Table of Contents
© 2004 R. Holmes. Do not reproduce any part of this website without permission of the author.